Загрузите GEDCOM-файл на ВГД   [х]
Всероссийское Генеалогическое Древо
На сайте ВГД собираются люди, увлеченные генеалогией, историей, геральдикой и т.д. Здесь вы найдете собеседников, экспертов, умелых помощников в поисках предков и родственников. Вам подскажут где искать документы о павших в боях и пропавших без вести, в какой архив обратиться при исследовании родословной своей семьи, помогут определить по старой фотографии принадлежность к воинским частям, ведомствам и чину. ВГД - поиск людей в прошлом, настоящем и будущем!
Genotek ADs
Вниз ⇊

Волковское лютеранское кладбище

Волковское лютеранское кладбище:
Санкт-Петербург, наб. реки Волковки, д. 1

← Назад    Вперед →Страницы: ← Назад 1 2 3 4 5 ... 41 42 43 44 45 * 46 47 48 49 Вперед →
Модератор: gal-svanidze
Nikky_K
Новичок

Санкт-Петербург
Сообщений: 8
На сайте с 2018 г.
Рейтинг: 2
Коллеги, у кого-нибудь есть планы участков из 40 дела в ЦГИА (ф.373. оп.1) с нормальным разрешением - чтобы увеличив на экране можно было прочитать мелко написанные цифры?
На сайте архива мало что удается прочитать, к сожалению...

Как можно получить эти планы (интересуют 3-4 из них) в таком виде, чтобы можно было с ними работать?
---
С уважением,
Николай Карасев
Лайк (1)
GrigoriyB

Санкт-Петербург
Сообщений: 74
На сайте с 2022 г.
Рейтинг: 68
Здравствуйте! Ищу информацию про захоронение Абрама Израилевича Перетца, сохранилось ли оно ? Спасибо!
---
"...я часто вспоминаю деда, хотя мы и не были знакомы..."

С. Довлатов

Белозерск; Рыбинск
ygv

ygv

Санкт-Петербург
Сообщений: 12571
На сайте с 2010 г.
Рейтинг: 9567

GrigoriyB написал:
[q]
Здравствуйте! Ищу информацию про захоронение Абрама Израилевича Перетца, сохранилось ли оно ? Спасибо!
[/q]

Перетц есть и у Саитова,, Петербургский некрополь, 1912-1913 , и у Бёма, 1998.

Прикрепленный файл: Перетц у Бема.JPGПеретц у Бема2.JPG, 36977 байтПеретц1.JPG, 18542 байтПеретц2.JPG, 30558 байт
---
Вилины,Кармаковы-Петербург,Ярославская губ.,Москва
Боженовы,Ахматовы-Тула,Москва,Петербург.
Маркус,Макогон-Донбасс,Молдавия
Лайк (1)
GrigoriyB

Санкт-Петербург
Сообщений: 74
На сайте с 2022 г.
Рейтинг: 68

ygv написал:
[q]

GrigoriyB написал:
[q]

Здравствуйте! Ищу информацию про захоронение Абрама Израилевича Перетца, сохранилось ли оно ? Спасибо!
[/q]


Перетц есть и у Саитова,, Петербургский некрополь, 1912-1913 , и у Бёма, 1998.
[/q]


Большое спасибо за ответ, и за информацию!
---
"...я часто вспоминаю деда, хотя мы и не были знакомы..."

С. Довлатов

Белозерск; Рыбинск
naduka18
Новичок

Санкт-Петербург
Сообщений: 1
На сайте с 2023 г.
Рейтинг: 1
Добрый вечер! Разыскиваю могилу своей прапрабабушки - Щепакина София Николаевна, в свидетельстве о смерти записано Щипакина, в справке из архива - Щепкина. Похоронена на Волковском лютеранском кладбище 11.02.1940. Место ст. Католич. дор. После войны бабушка навещала могилу. На могиле стоял крест. Буду признательна за информацию. Может кому-то попадалась на глаза на кладбище.
gal-svanidze
Модератор раздела

gal-svanidze

Кингисепп
Сообщений: 1767
На сайте с 2006 г.
Рейтинг: 270
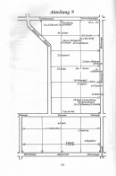
Бем. Волковское лютеранское кладбище, схемы, сканы.

Прикрепленный файл: Scan_0000_0000.jpgScan_0001.jpg, 614167 байтScan_0003_0001.jpg, 273942 байт
---
https://sites.google.com/view/nekropolisanktpeterburga-1/главная-страница
Лайк (1)
gal-svanidze
Модератор раздела

gal-svanidze

Кингисепп
Сообщений: 1767
На сайте с 2006 г.
Рейтинг: 270
Бем. Волковское лютеранское кладбище, схемы, сканы.

Прикрепленный файл: Scan_0003_0002.jpgScan_0003_0003.jpg, 242557 байтScan_0003_0004.jpg, 343918 байт
---
https://sites.google.com/view/nekropolisanktpeterburga-1/главная-страница
gal-svanidze
Модератор раздела

gal-svanidze

Кингисепп
Сообщений: 1767
На сайте с 2006 г.
Рейтинг: 270
Бем. Волковское лютеранское кладбище, схемы, сканы.

Прикрепленный файл: Scan_0003_0005.jpgScan_0003_0006.jpg, 346713 байтScan_0003_0007.jpg, 333352 байт
---
https://sites.google.com/view/nekropolisanktpeterburga-1/главная-страница
gal-svanidze
Модератор раздела

gal-svanidze

Кингисепп
Сообщений: 1767
На сайте с 2006 г.
Рейтинг: 270
Бем. Волковское лютеранское кладбище, схемы, сканы.

Прикрепленный файл: Scan_0003_0008.jpgScan_0003_0009.jpg, 249987 байтScan_0003_0010.jpg, 320642 байт
---
https://sites.google.com/view/nekropolisanktpeterburga-1/главная-страница
Лайк (1)
gal-svanidze
Модератор раздела

gal-svanidze

Кингисепп
Сообщений: 1767
На сайте с 2006 г.
Рейтинг: 270
Бем. Волковское лютеранское кладбище, схемы, сканы.

Прикрепленный файл: Scan_0003_0011.jpgScan_0003_012.jpg, 349550 байтScan_0003_0013.jpg, 240524 байтScan_0003_0021.jpg, 200612 байт
---
https://sites.google.com/view/nekropolisanktpeterburga-1/главная-страница
Лайк (1)
← Назад    Вперед →Страницы: ← Назад 1 2 3 4 5 ... 41 42 43 44 45 * 46 47 48 49 Вперед →
Модератор: gal-svanidze
Вверх ⇈