Загрузите GEDCOM-файл на ВГД   [х]
Всероссийское Генеалогическое Древо
На сайте ВГД собираются люди, увлеченные генеалогией, историей, геральдикой и т.д. Здесь вы найдете собеседников, экспертов, умелых помощников в поисках предков и родственников. Вам подскажут где искать документы о павших в боях и пропавших без вести, в какой архив обратиться при исследовании родословной своей семьи, помогут определить по старой фотографии принадлежность к воинским частям, ведомствам и чину. ВГД - поиск людей в прошлом, настоящем и будущем!
Вниз ⇊

Волковское лютеранское кладбище

Волковское лютеранское кладбище:
Санкт-Петербург, наб. реки Волковки, д. 1

← Назад    Вперед →Страницы: ← Назад 1 2 3 4 5 ... 41 42 43 44 45 * 46 47 48 49 Вперед →
Модератор: gal-svanidze
ygv

ygv

Санкт-Петербург
Сообщений: 12947
На сайте с 2010 г.
Рейтинг: 9969

Nikky_K написал:
[q]
Добрый день! нельзя ли продублировать эти фото?
Спасибо!
gal-svanidze написал:
[q]

Гувале 27.05.1890-23.08.1931
В справочнике Саитова:
Елена Эмилия Гувале 27.01.1886-13.11.1896
[/q]

[/q]

Запись была сделана 17 июля / 2 октября 2012г, стр.24.

В справочниках :
-Саитов В.И. " Петербургский некрополь",1912-1913
-Бем Венедикт "Волковское лютеранское кладбище Санкт-Петербурга",1998
(№4 внизу у Липовой дорожки)
- База Эрика Амбургера
https://www.amburger.ios-regen...p;letter=H

Прикрепленный файл: гувале амбургер.PNGгувале бем.PNG, 463661 байтгувале бем2.JPG, 2047549 байтгувале.PNG, 43992 байт
---
Вилины,Кармаковы-Петербург,Ярославская губ.,Москва
Боженовы,Ахматовы-Тула,Москва,Петербург.
Маркус,Макогон-Донбасс,Молдавия
Nikky_K
Новичок

Санкт-Петербург
Сообщений: 8
На сайте с 2018 г.
Рейтинг: 2
Юрий, спасибо большое!
стр. 700 - это у Саитова?
---
С уважением,
Николай Карасев
Nikky_K
Новичок

Санкт-Петербург
Сообщений: 8
На сайте с 2018 г.
Рейтинг: 2
Интересуюсь захоронениями Гувале, т.к. это семья последней жены Д.Н. Мамина-Сибиряка - Ольги Францевны. Она тоже была похоронена на Волковском лютеранском, но могила утрачена в 1950-е годы. Сейчас на этом месте новые захоронения конца 1990-х годов. Чуть позже могу выложить фото
---
С уважением,
Николай Карасев
ygv

ygv

Санкт-Петербург
Сообщений: 12947
На сайте с 2010 г.
Рейтинг: 9969

Nikky_K написал:
[q]
Юрий, спасибо большое!
стр. 700 - это у Саитова?
[/q]

Да.
---
Вилины,Кармаковы-Петербург,Ярославская губ.,Москва
Боженовы,Ахматовы-Тула,Москва,Петербург.
Маркус,Макогон-Донбасс,Молдавия
Nikky_K
Новичок

Санкт-Петербург
Сообщений: 8
На сайте с 2018 г.
Рейтинг: 2
Коллеги, у кого-нибудь есть планы участков из 40 дела в ЦГИА (ф.373. оп.1) с нормальным разрешением - чтобы увеличив на экране можно было прочитать мелко написанные цифры?
На сайте архива мало что удается прочитать, к сожалению...

Как можно получить эти планы (интересуют 3-4 из них) в таком виде, чтобы можно было с ними работать?
---
С уважением,
Николай Карасев
Лайк (1)
GrigoriyB

Санкт-Петербург
Сообщений: 74
На сайте с 2022 г.
Рейтинг: 68
Здравствуйте! Ищу информацию про захоронение Абрама Израилевича Перетца, сохранилось ли оно ? Спасибо!
---
"...я часто вспоминаю деда, хотя мы и не были знакомы..."

С. Довлатов

Белозерск; Рыбинск
ygv

ygv

Санкт-Петербург
Сообщений: 12947
На сайте с 2010 г.
Рейтинг: 9969

GrigoriyB написал:
[q]
Здравствуйте! Ищу информацию про захоронение Абрама Израилевича Перетца, сохранилось ли оно ? Спасибо!
[/q]

Перетц есть и у Саитова,, Петербургский некрополь, 1912-1913 , и у Бёма, 1998.

Прикрепленный файл: Перетц у Бема.JPGПеретц у Бема2.JPG, 36977 байтПеретц1.JPG, 18542 байтПеретц2.JPG, 30558 байт
---
Вилины,Кармаковы-Петербург,Ярославская губ.,Москва
Боженовы,Ахматовы-Тула,Москва,Петербург.
Маркус,Макогон-Донбасс,Молдавия
Лайк (1)
GrigoriyB

Санкт-Петербург
Сообщений: 74
На сайте с 2022 г.
Рейтинг: 68

ygv написал:
[q]

GrigoriyB написал:
[q]

Здравствуйте! Ищу информацию про захоронение Абрама Израилевича Перетца, сохранилось ли оно ? Спасибо!
[/q]


Перетц есть и у Саитова,, Петербургский некрополь, 1912-1913 , и у Бёма, 1998.
[/q]


Большое спасибо за ответ, и за информацию!
---
"...я часто вспоминаю деда, хотя мы и не были знакомы..."

С. Довлатов

Белозерск; Рыбинск
naduka18
Новичок

Санкт-Петербург
Сообщений: 1
На сайте с 2023 г.
Рейтинг: 1
Добрый вечер! Разыскиваю могилу своей прапрабабушки - Щепакина София Николаевна, в свидетельстве о смерти записано Щипакина, в справке из архива - Щепкина. Похоронена на Волковском лютеранском кладбище 11.02.1940. Место ст. Католич. дор. После войны бабушка навещала могилу. На могиле стоял крест. Буду признательна за информацию. Может кому-то попадалась на глаза на кладбище.
gal-svanidze
Модератор раздела

gal-svanidze

Кингисепп
Сообщений: 1764
На сайте с 2006 г.
Рейтинг: 272
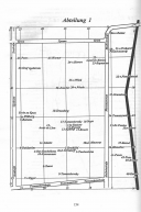
Бем. Волковское лютеранское кладбище, схемы, сканы.

Прикрепленный файл: Scan_0000_0000.jpgScan_0001.jpg, 614167 байтScan_0003_0001.jpg, 273942 байт
---
https://sites.google.com/view/nekropolisanktpeterburga-1/главная-страница
Лайк (1)
← Назад    Вперед →Страницы: ← Назад 1 2 3 4 5 ... 41 42 43 44 45 * 46 47 48 49 Вперед →
Модератор: gal-svanidze
Вверх ⇈