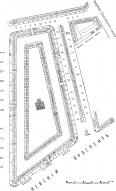
Гостиный двор. Санкт-Петербург. 1855
Указатель к путеводителю (РНБ).
| OlegVS Я с той реки, где Ярославич бился. Сообщений: 11476 На сайте с 2015 г. Рейтинг: 20830
| Наверх ##
29 октября 2023 14:14 Отличная тема! Спасибо автору большое! А по 1860-70-80-м нет подобных справочников? Интересно было бы узнать, где именно находилось заведение предка. Мне подсказали, что габеленами и подобным торговали на Перинной линии, уже кое-что. А не известно, номера со временем менялись? С уважением, Олег. --- Олег. Ищу: дворян Унковских (Тихв.), Мордвиновых (Новолад.), Назимовых (Пск.), Архиповых (Волын. губ.), Ушаковых (Борович.), Качаловых (Новг.), Кутузовых (Белоз.), бар.Швахгейм , Шатиловых (Пск.), Елагиных (Пск.), Кушелевых (Новг.), кн-й Шаховских. | | |
| Kolob-07 Санкт-Петербург Сообщений: 5209 На сайте с 2008 г. Рейтинг: 4007
| Наверх ##
29 октября 2023 14:19 OlegVS написал: [q] А по 1860-70-80-м нет подобных справочников?[/q]
Обычно номера лавок указаны и Купеческих книгах. Если отсчет по линии, то можно по плану высчитать. | | Лайк (1) |
| OlegVS Я с той реки, где Ярославич бился. Сообщений: 11476 На сайте с 2015 г. Рейтинг: 20830
| Наверх ##
29 октября 2023 15:27 Спасибо, понятно!
С уважением, Олег.
--- Олег. Ищу: дворян Унковских (Тихв.), Мордвиновых (Новолад.), Назимовых (Пск.), Архиповых (Волын. губ.), Ушаковых (Борович.), Качаловых (Новг.), Кутузовых (Белоз.), бар.Швахгейм , Шатиловых (Пск.), Елагиных (Пск.), Кушелевых (Новг.), кн-й Шаховских. | | |
alex_energoМодератор раздела  Санкт-Петербург Сообщений: 3647 На сайте с 2009 г. Рейтинг: 15561 | Наверх ##
29 октября 2023 18:47 Kolob-07 написал: [q] alex_energo написал:
[q] Коломну я всю просмотрел до середины 17-го века
[/q]
А Ваши в РГАДА где-то нашлись?[/q]
Только в Коломне - другие фамилии. И кое-что по Архангельской губернии. --- Тулиновы-СПб, Коломна Моск. губ, Ильины, Сунбуловы, Токаревы, Панины, Потаповы, Шершавины, Шульгины, Бочарниковы-Коломна, Кузьмины, Валяевы-СПб, Лихачевы - СПб, Солигалич, Фомины, Абрамовы, Лобановы, Посыпановы, Буторины-Арх-льск, Арх.губ., Петровы, Грибковы, Марковы -Любим Яр.губ., Кульбины-СПб | | |
| Kolob-07 Санкт-Петербург Сообщений: 5209 На сайте с 2008 г. Рейтинг: 4007
| Наверх ##
29 октября 2023 20:22 На 1917 номера лавок несколько изменились.
 | | Лайк (2) |
alex_energoМодератор раздела  Санкт-Петербург Сообщений: 3647 На сайте с 2009 г. Рейтинг: 15561 | Наверх ##
29 октября 2023 20:30 Kolob-07 написал: [q] А Швецов С.А. все-таки торговал в Гостином и до и после выхода Путеводителя. Указан и в Купеческих 1845, 1846 и в Указателе 1849. Судя по всему, его лавка указана в Путеводите, как закрытая.[/q]
Юрий, а что за Купеческие 1845 и 1846? --- Тулиновы-СПб, Коломна Моск. губ, Ильины, Сунбуловы, Токаревы, Панины, Потаповы, Шершавины, Шульгины, Бочарниковы-Коломна, Кузьмины, Валяевы-СПб, Лихачевы - СПб, Солигалич, Фомины, Абрамовы, Лобановы, Посыпановы, Буторины-Арх-льск, Арх.губ., Петровы, Грибковы, Марковы -Любим Яр.губ., Кульбины-СПб | | |
| Kolob-07 Санкт-Петербург Сообщений: 5209 На сайте с 2008 г. Рейтинг: 4007
| Наверх ##
29 октября 2023 20:48 alex_energo написал: [q] что за Купеческие 1845 и 1846?[/q]
Это еще рукописные в РГИА - там есть за несколько лет, не так много. | | Лайк (2) |
alex_energoМодератор раздела  Санкт-Петербург Сообщений: 3647 На сайте с 2009 г. Рейтинг: 15561 | Наверх ##
17 ноября 2023 0:23 17 ноября 2023 0:44 --- Тулиновы-СПб, Коломна Моск. губ, Ильины, Сунбуловы, Токаревы, Панины, Потаповы, Шершавины, Шульгины, Бочарниковы-Коломна, Кузьмины, Валяевы-СПб, Лихачевы - СПб, Солигалич, Фомины, Абрамовы, Лобановы, Посыпановы, Буторины-Арх-льск, Арх.губ., Петровы, Грибковы, Марковы -Любим Яр.губ., Кульбины-СПб | | |
alex_energoМодератор раздела  Санкт-Петербург Сообщений: 3647 На сайте с 2009 г. Рейтинг: 15561 | Наверх ##
22 декабря 2023 15:52 В одном из разделов моего дневника было записано, что в 1830-х гг. моими Кузьмиными были куплены лавки 1,2 и 32 по Банковской линии Малого Гостиного двора. В дальнейшем эти лавки, видимо, были в совместном владении нескольких хозяев: Кузьминых (примерно до начала 1870-х), Яковлева С.А., Дурдиных и Смирнова И.И. фото 1: Покупка лавок Кузьмиными фото 2: Справ. книга СПб купечества за 1861 фото 3: Справ. книга СПб купечества за 1865 фото 4: Справ. книга СПб купечества за 1870 фото 5, 6: ЦГИА СПб ф.513 оп.115 д.627 л.1об. План части С.-Петербурга с показанием лавки потомственного почетного гражданина Яковлева С.А. фото 7: ЦГИА СПб ф.513 оп.115 д.627 л.8-9. Чертеж фасада лавки, принадлежащей Яковлеву С.А. по Садовой улице.
       --- Тулиновы-СПб, Коломна Моск. губ, Ильины, Сунбуловы, Токаревы, Панины, Потаповы, Шершавины, Шульгины, Бочарниковы-Коломна, Кузьмины, Валяевы-СПб, Лихачевы - СПб, Солигалич, Фомины, Абрамовы, Лобановы, Посыпановы, Буторины-Арх-льск, Арх.губ., Петровы, Грибковы, Марковы -Любим Яр.губ., Кульбины-СПб | | |
alex_energoМодератор раздела  Санкт-Петербург Сообщений: 3647 На сайте с 2009 г. Рейтинг: 15561 | Наверх ##
14 мая 2024 20:50 15 мая 2024 21:16 1875 год. Лавки Гостиного двора
 --- Тулиновы-СПб, Коломна Моск. губ, Ильины, Сунбуловы, Токаревы, Панины, Потаповы, Шершавины, Шульгины, Бочарниковы-Коломна, Кузьмины, Валяевы-СПб, Лихачевы - СПб, Солигалич, Фомины, Абрамовы, Лобановы, Посыпановы, Буторины-Арх-льск, Арх.губ., Петровы, Грибковы, Марковы -Любим Яр.губ., Кульбины-СПб | | Лайк (1) |
|